373 W Poppyfields Drive
373 W Poppyfields Drive
SEE ALL PHOTOS
373 W Poppyfields Drive
373 W Poppyfields Drive
Listed by Rex Owens with Christie's RE SoCal 323-273-8825
Sold

373 W Poppyfields Drive

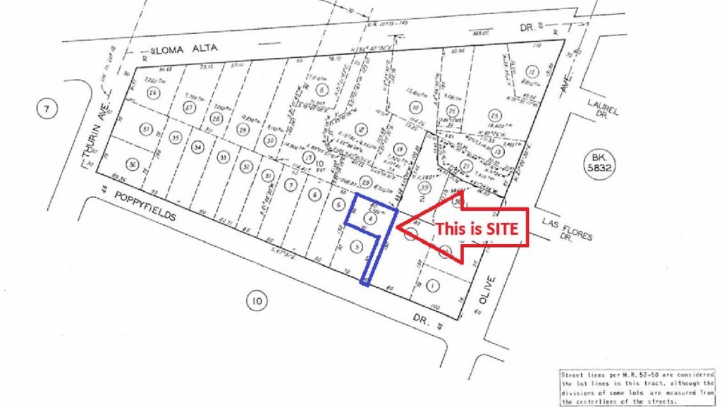
373 W Poppyfields Drive, Altadena, CA 91001

$330,000

NOW LEASING

This property is now available for lease at $12,000/mo.
VIEW NOW
$330,000

373 W Poppyfields Drive

5,573 Sq.Ft.

Description

Tucked away on a private flag lot, this Altadena parcel offers a unique and budget-friendly entry into one of the San Gabriel Valley's most sought-after communities. With both Phase 1 and Phase 2 debris clearance already completed, the groundwork is laid for a new beginning. The property enjoys views of the nearby San Gabriel Mountains and is located just moments from local favorites like Loma Alta and Farnsworth Parks, hiking trails, and equestrian paths. Cafes, shops, and neighborhood events are close at hand, offering a blend of nature and community life. At this affordable entry point, this lot may appeal to first-time developers or those looking to establish a modest foothold in a high-demand market. Whether you're planning a personal retreat or a strategic investment, this site offers an excellent opportunity.
**Buyer to independently verify all zoning, building, and utility reconnection requirements with Los Angeles County and relevant service providers. Property sold as-is.

Share Property

Location

373 W Poppyfields Drive, Altadena, CA 91001

Status

Sold
Rex Owens

Rex Owens

Features & Amenities

Area & Lot

  • Status Sold
  • Lot Area5,573 Sq.Ft.
  • MLS® IDPF25142211
  • TypeLand
  • NeighborhoodAltadena
  • View DescriptionMountain(s), Neighborhood

Exterior

  • water SourcePublic
  • utilitiesCable Available, Electricity Available, Natural Gas Available, Phone Available, Sewer Available, Water Available
  • lot featuresFlag Lot, Near Park
  • sewerPublic Sewer

Financial

  • Sales Price$330,000
  • Zoning LCR171/2

Living

Luxury real estate means going above and beyond the client’s expectations. Whatever luxury means to you, we are here to help you seek it. Experience luxury with us.